Naar de inhoud springen

Alle beestjes groot en klein

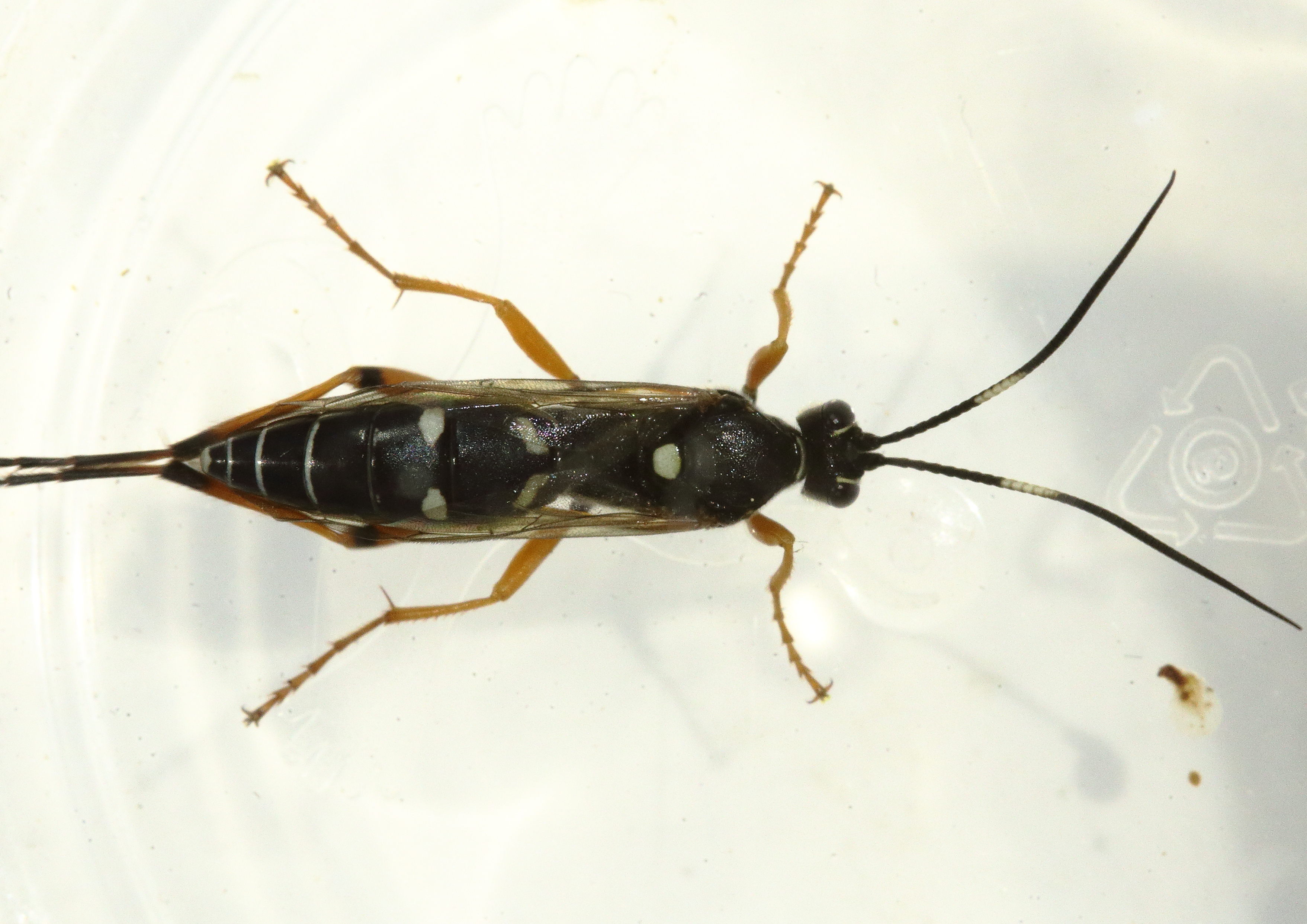
Verassingen in het stroomgebied van de Rode beek

Alle beestjes groot en klein

Wespen

Dit delen:

  • Share op Facebook (Opent in een nieuw venster) Facebook
Vind-ik-leuk Aan het laden...

statistieken

  • 335.712 hits

pagina’s

  • Amfibiën
    • ontwikkeling kikkervisje
  • Bijen
  • Cicaden
  • Dagvlinders
    • Aurelias
    • Blauwtjes
    • Dikkopjes
    • Grote pages
    • Witjes
  • Hommels
  • Juffers
  • Kevers
    • anders
    • Bladhaantjes
    • Bladsprietkevers
    • Boktorren
    • Kniptorren
    • Lieveheersbeestjes
    • Loopkevers
    • Snuitkevers
  • Kokerjuffers
  • Libellen
  • Mieren
  • Mijten teken luizen
  • Muggen
  • Nachtvlinders
    • Bladrollers
    • Bloeddropjes
    • Diversen
    • Grasmotten
    • Langsprietmotten
    • Pijlstaarten
    • Snuitmotten
    • Spanners
    • Uilen/spinneruilen
    • Van rups naar vlinder : Witvlakvlinder
  • Overige geleedpotigen
  • Paddestoelen
  • Parasieten
  • Reptielen
  • Spinachtigen
  • Sprinkhanen
    • Overige
    • Sabelsprinkhanen
  • Vliegen
  • Vogels / zoogdieren
  • Wantsen
    • Blindwantsen
    • Overige
    • Schildwantsen
  • Weekdieren
  • Wespen
Alle beestjes groot en klein
  • Abonneren Geabonneerd
    • Alle beestjes groot en klein
    • Voeg je bij 31 andere abonnees
    • Heb je al een WordPress.com-account? Nu inloggen.
    • Alle beestjes groot en klein
    • Abonneren Geabonneerd
    • Aanmelden
    • Inloggen
    • Korte link kopiëren
    • Deze inhoud rapporteren
    • Bekijk bericht in Reader
    • Beheer abonnementen
    • Deze balk inklappen

Reacties laden....

    %d